
Từ đòn roi trong nhà đến "bạo lực biểu diễn" trên TikTok: Trẻ em đang bị tổn thương ở mọi nơi
Những ngày gần đây, dư luận cả nước không khỏi bàng hoàng, phẫn nộ trước liên tiếp hai vụ việc trẻ em bị bạo hành, một xảy ra trong chính gia đình, một diễn ra ngoài xã hội, nhưng đều để lại...
Hà Nội đã lạnh dưới 20 độ C, bao giờ mùa Đông ở miền Bắc chính thức bắt đầu?
Thời tiết ở Hà Nội đã khá lạnh với mức nhiệt độ xuống dưới 20 độ C, trời nhiều mây, thậm chí có nơi còn lất phất mưa nhỏ. Vậy mùa Đông ở miền Bắc đã chính thức bắt đầu chưa, hay phải đến khi...
Sáng nay (23/10), giá vàng đồng loạt giảm, vàng nhẫn có mức giảm mạnh hơn vàng miếng SJC. Tuy nhiên, có nơi giá vàng nhẫn vẫn cao hơn giá vàng miếng 4,3 triệu đồng/lượng.
Loài hải sản này có giá vô cùng đắt đỏ, được ví như "mì chính của người giàu". Trên thị trường, sá sùng khô được bán với giá lên tới 5 triệu đồng/kg.
Đây là những nữ doanh nhân đầy bản lĩnh, hiện đang chèo lái các tập đoàn hàng đầu Việt Nam. Không chỉ thành công trong kinh doanh, họ còn truyền cảm hứng mạnh mẽ về trí tuệ, sự kiên định,...
Hà Nội: Danh sách các phương tiện bị phạt nguội từ ngày 1 đến 10/10
Trong 10 ngày đầu tháng 10/2025, thông qua hệ thống camera giám sát, Phòng Cảnh sát giao thông (CSGT) Công an TP Hà Nội đã phát hiện hàng loạt phương tiện gồm cả ô tô và xe máy vi phạm và đã...
Người đàn ông cầm dao tấn công khiến nhiều người ở Bệnh viện Sản - Nhi Nghệ An bị thương
Một người đàn ông bất ngờ vào Bệnh viện Sản - Nhi Nghệ An rồi cầm dao tấn công khiến 3 nhân viên y tế và 2 người nhà bị thương phải cấp cứu.
Những nơi sẽ hứng mưa to như trút nước trong ngày hôm nay do ảnh hưởng của bão số 12
Theo dự báo thời tiết, từ hôm nay đến 24/10, từ Hà Tĩnh đến Quảng Ngãi sẽ có mưa lớn diện rộng do ảnh hưởng của bão số 12. Tổng lượng mưa có nơi từ 400-600mm, có nơi mưa rất to lên đến hơn...
[Clip] Cảnh sát cứu hơn 100 người bị nước lũ uy hiếp ở TPHCM lúc nửa đêm
Lực lượng Cảnh sát phòng cháy chữa cháy và cứu nạn cứu hộ (PCCC&CNCH) Công an TPHCM đã giải cứu hơn 100 người trong khu vực bị nước nhấn chìm vào rạng sáng nay (23/10).
Ngôi đền hơn 300 năm tuổi và câu chuyện về người thầy nổi tiếng ở Phú Thọ
Giữa miền quê xã Sơn Đông (Phú Thọ) yên bình có một ngôi đền cổ 360 năm tuổi, nơi tưởng nhớ nhà giáo Đỗ Khắc Chung, người đã khơi nguồn truyền thống hiếu học trong vùng.
Bên trong ngôi làng bị triều cường "tấn công", nước lụt bủa vây nhiều ngày
Đêm 22 và rạng sáng 23-10, ngôi làng ven biển ở Huế tiếp tục bị nước lũ bủa vây do nước sông dâng cao và triều cường mạnh vì ảnh hưởng bão Fengshen.
Bão số 12 suy yếu thành áp thấp nhiệt đới, miền Trung bắt đầu mưa lớn
Bão số 12 đã suy yếu thành áp thấp nhiệt đới trên Biển Đông vào rạng sáng nay. Từ sáng sớm 23/10 đến đêm 24/10, ở khu vực từ Hà Tĩnh đến Quảng Ngãi có mưa to và dông với lượng mưa phổ biến...
Cảnh sát trong quá trình xử lý vụ án trộm cắp điện thoại không chỉ thu hồi tài sản cho chủ cửa hàng mà sau khi phá án, họ còn giúp đỡ chính nghi phạm tìm lại được gia đình đã thất lạc suốt...
Trong lịch sử dân tộc Việt Nam, bên cạnh những vị anh hùng kiệt xuất còn có những người phụ nữ tài giỏi, trung trinh, cùng chồng gánh vác sơn hà, trong đó phải kể tới người vợ đầu tiên của...
Thời tiết Hà Nội: Thủ đô có bị ảnh hưởng bởi hoàn lưu bão số 12?
Theo dự báo, do ảnh hưởng của hoàn lưu bão số 12 khu vực Trung Bộ có mưa rất to. Thời tiết Hà Nội không bị ảnh hưởng bởi bão số 12, trời không mưa, lạnh về đêm và sáng do không khí lạnh.
Loại mật này có hương vị đậm đà, giá bán có thể lên tới 900.000 đồng mỗi lít, được ví như “lộc trời” của núi rừng. Mấy năm gần đây, chúng được người thành phố săn lùng mỗi khi đến mùa.
Khi các vụ bạo lực học đường liên tiếp xảy ra, gây hậu quả nghiêm trọng thì chính các cơ sở giáo dục, gia đình cũng phải nhìn nhận lại về quan điểm, cũng như cách giáo dục, tiếp cận học sinh...
Má Mười vùng “đất thép” Củ Chi: Dành cả đời cưu mang "người dưng", bán nhà nuôi trăm đứa con thơ dại
Dành cả đời để nuôi “người dưng”, bị nói là lo chuyện bao đồng nhưng má Mười chưa bao giờ buồn, chưa bao giờ ân hận với quyết định của mình. Khi được hỏi “gia tài lớn nhất” của má Mười, má...
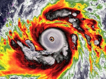
Bão số 12 chưa vào bờ, một áp thấp nhiệt đới lại xuất hiện gần Biển Đông
Bão số 12 Fengshen đã giảm 1 cấp, hiện đạt cấp 9 và đang trên biển Nam Quảng Trị - Quảng Ngãi. Dự báo, ngày mai (23/10), bão di chuyển vào Đà Nẵng; đồng thời, một áp thấp nhiệt đới cũng vào...
Luật BHXH 2024 có hiệu lực từ ngày 1/7, với nhiều thay đổi quan trọng, đặc biệt là mức trợ cấp một lần khi nghỉ hưu sẽ tăng đáng kể, có thể gấp 4 lần so với quy định cũ.
9h sáng nay (22/10), các doanh nghiệp kinh doanh vàng giảm mạnh vàng miếng và vàng nhẫn từ 4-5 triệu đồng/lượng. Các doanh nghiệp nới rộng khoảng cách mua vào - bán ra trong bối cảnh giá...
Thể dục thường xuyên sẽ mang lại nhiều lợi ích cho sức khỏe, nhưng để chọn môn tập luyện nào vừa tốt cho sức khỏe, vừa phù hợp với khả năng kinh tế và đôi khi cả yếu tố thời tiết là điều...